Residential Blocks - Tavarau, Lautoka
$90,000
- 1000m2
Land
Tavarau, Lautoka, Western
• flat land, ready to build - new subdivision
• with sea views & mountain views
• 100m from Kings Highway
• approx 15mins out of Lautoka city, 20mins from Ba town
• close to shop, schools, restaurants
• water and electricity available
• Crown Lease titles 99yrs - Titles in hand
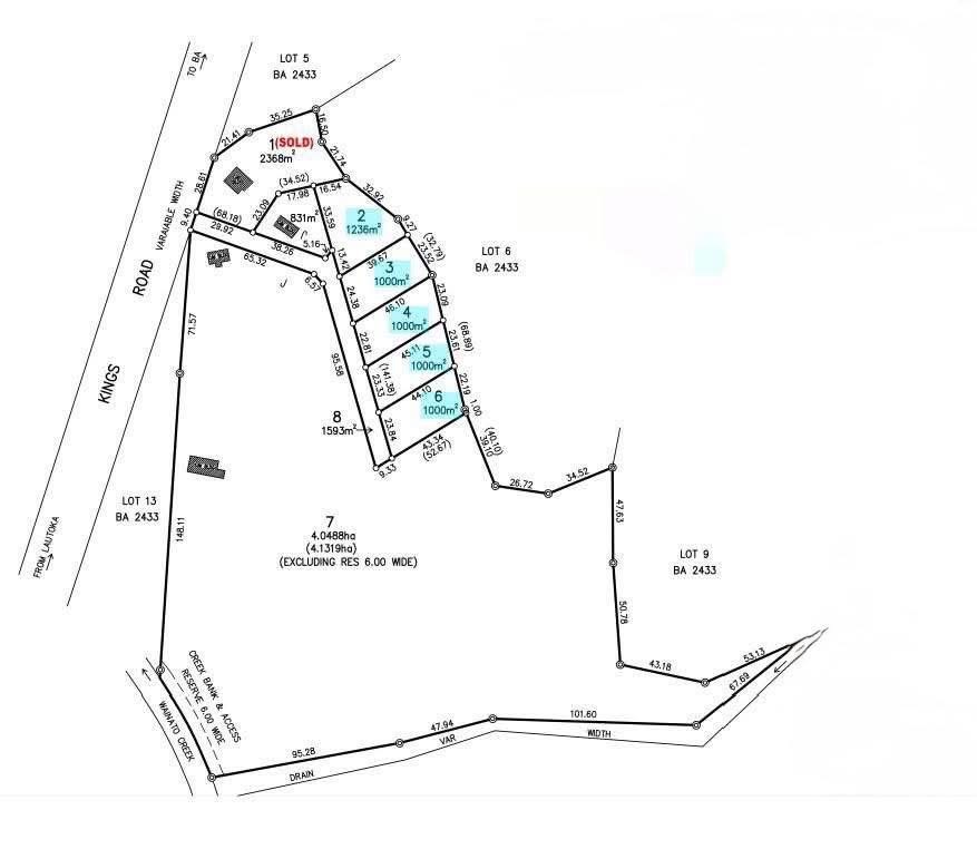
Lot 2 1236sqm - $135,000
Lot 3 1000sqm - $95,000
Lot 4 1000sqm - $93,000
Lot 5 1000sqm - $92,000
Lot 6 1000sqm - $90,000
???? For more info please contact 299 2622 or [email protected]
Pacific Paradise Homes
LIC 0210
#landforsale #forsalelautoka #crownleaseproperty #landslautoka #forsaletavarau #lautoka #landforsalelautoka #investmentfiji #crownlease #lautokalands #firsthomebuyers
Property Information
- Property Type: Land
- Property ID: 22153
- Price: $90,000
- Land Area: 2000.00sqm
- Title: crown
Property Features
- Close to Parklands
- Close to Schools
- Close to Shops
- Close to Transport
- Views
Chris Miller
SHOW
Location Profile
Lautoka City is home to Fiji’s largest number of open spaces and parks and notable for its leafy charm. Lautoka has won several awards for being Fiji's cleanest municipality. The picturesque metropolitan is the administrative capital of Fiji’s Western division and the countr...
View location profileMortgage Calculator
Property Price
$90000
Deposit
$9000
Rate (APR)
4.5%
Term
20 years
Repayment $500 / week
Chris Miller
SHOW
SHOW
Specialize in apartments, houses, acreages, luxury homes and villas, resorts and investment properties.
Contact Agent
Tavarau, Lautoka, Western

Share this property